Skip To Content

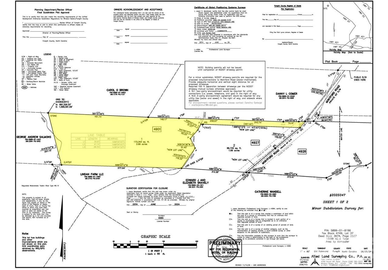
4901 & 4927 Montford Road

Pfafftown, NC 27040
  • $160,000
  • STATUS: Closed
  • ON SITE: 27 Days
  • ID#: 4322279
Sold - 12/03/2025
$160,000
SOLD - 12/03/2025
  • 0
    BEDS
  • 5.97
    ACRES
  • 0
    BATHS
  • 0
    1/2 BATHS
Type:
Vacant Land / Lots
County:
Area:

School Information

Elementary School:
Middle School:
High School:
Canopy MLS logo Offered by RE/MAX Preferred Properties: 336-723-6711. Copyright 2025 Canopy MLS. All rights reserved.

Description

Build your dream home or homes in Pfafftown on approx. 6 acres of wooded land with creek running through property ... Secluded ... Soil evaluation/Perc testing completed for 4 bedroom home in multiple site locations ... See attached survey Including Tract 1 and 2 ... Notice the red metal stakes -- when facing the property, the stakes are the property line for this land and the neighbor's property ... Property line starts at the red stakes and runs left ... Notice the lot line is at an angle... Septic and well will be required ... Soil Reports & Road Maintenance Agreement under attachments ... (Waiting on county for updated Tax PIN/Parcel IDs) (Note - two parcels combined on this listing but can be bought separately as an approx. 4 acre and 2 acre parcel -- also listed separately on MLS) NOTE: Wear appropriate shoes to cross (walk through) the creek to get to the back half of land -- creek runs through about midway of the land


Sold by Canopy Administration.
Listed by RE/MAX Preferred Properties.
Properties displayed may be listed or sold by various participants in the MLS.

Monthly Payment Calculator



MLS Grid logo Based on information submitted to the MLS GRID as of 2025-12-13T21:34:17.583 UTC. All data is obtained from various sources and may not have been verified by broker or MLS GRID. Supplied Open House Information is subject to change without notice. All information should be independently reviewed and verified for accuracy. Properties may or may not be listed by the office/agent presenting the information.The data relating to real estate on this Web site derive in part from the Canopy MLS IDX program. Brokers make an effort to deliver accurate information, but buyers should independently verify any information on which they will rely in a transaction. All properties are subject to prior sale, change or withdrawal. Neither Mossy Oak Properties Land and Luxury nor any listing broker shall be responsible for any typographical errors, misinformation, or misprints, and they shall be held totally harmless from any damages arising from reliance upon this data. This data is provided exclusively for consumers' personal, non-commercial use and may not be used for any purpose other than to identify prospective properties they may be interested in purchasing. © 2025 Canopy MLS.

“Listings courtesy of Canopy MLS as distributed by MLS GRID

Some IDX listings have been excluded from this website.

Digital Millennium Copyright Act
www.landandluxury.com/homes/169989467
Print Image

4901 & 4927 Montford Road Pfafftown, NC 27040

  • Price: $170,000
  • Status: Closed
  • On Site: 27 Days
  • Updated: 77 min ago
  • ID#: 4322279
0
Beds
0
Baths
0
½ Baths
5.97
Acres
County:
Forsyth
Area:
Pfafftown
Elementary School:
Unspecified
Middle School:
Unspecified
High School:
Unspecified
Property Description
Build your dream home or homes in Pfafftown on approx. 6 acres of wooded land with creek running through property ... Secluded ... Soil evaluation/Perc testing completed for 4 bedroom home in multiple site locations ... See attached survey Including Tract 1 and 2 ... Notice the red metal stakes -- when facing the property, the stakes are the property line for this land and the neighbor's property ... Property line starts at the red stakes and runs left ... Notice the lot line is at an angle... Septic and well will be required ... Soil Reports & Road Maintenance Agreement under attachments ... (Waiting on county for updated Tax PIN/Parcel IDs) (Note - two parcels combined on this listing but can be bought separately as an approx. 4 acre and 2 acre parcel -- also listed separately on MLS) NOTE: Wear appropriate shoes to cross (walk through) the creek to get to the back half of land -- creek runs through about midway of the land
Exterior Features

Acres Wooded 5.97 Carport YN No Lot Features Creek/StreamWooded Road Responsibility Private Maintained Road Road Surface Type Gravel

Property Features

Additional Parcels YN False Association YN No Auction YN No CCRSubject To Undiscovered City Taxes Paid To No City Taxes Paid Habitable Residence YN No Hoa Subject To None Lease Considered YN No Listing Terms CashConventional Possible Use Residential Property Sub Type Acreage Restrictions No Restrictions Senior Community YN No Sewer Septic Needed Special Listing Conditions None Water Source Well Needed



MLS Grid logo Based on information submitted to the MLS GRID as of 2025-12-13T21:34:17.583 UTC. All data is obtained from various sources and may not have been verified by broker or MLS GRID. Supplied Open House Information is subject to change without notice. All information should be independently reviewed and verified for accuracy. Properties may or may not be listed by the office/agent presenting the information.The data relating to real estate on this Web site derive in part from the Canopy MLS IDX program. Brokers make an effort to deliver accurate information, but buyers should independently verify any information on which they will rely in a transaction. All properties are subject to prior sale, change or withdrawal. Neither Mossy Oak Properties Land and Luxury nor any listing broker shall be responsible for any typographical errors, misinformation, or misprints, and they shall be held totally harmless from any damages arising from reliance upon this data. This data is provided exclusively for consumers' personal, non-commercial use and may not be used for any purpose other than to identify prospective properties they may be interested in purchasing. © 2025 Canopy MLS.

“Listings courtesy of Canopy MLS as distributed by MLS GRID

Some IDX listings have been excluded from this website.

Digital Millennium Copyright Act
 
https://bt-photos.global.ssl.fastly.net/cmls/1280_boomver_1_4322279-1.jpg https://bt-photos.global.ssl.fastly.net/cmls/1280_boomver_1_4322279-1.jpg https://bt-photos.global.ssl.fastly.net/cmls/1280_boomver_1_4322279-1.jpg
Logo
Mossy Oak Properties Land and Luxury
114 Morlake Drive Suite 103
Mooresville NC, 28117
Canopy MLS logo Offered by RE/MAX Preferred Properties: 336-723-6711. Copyright 2025 Canopy MLS. All rights reserved.