Skip To Content

1515 N Ridge Street

Southern Pines, NC 28387
  • $350,000
  • STATUS: Active Under Contract
  • ON SITE: 18 Days
  • ID#: 100543007
Under Contract
UPDATED: 55 min ago
$350,000
  • 0
    BEDS
  • 1.42
    ACRES
  • 0
    BATHS
  • 0
    1/2 BATHS
Neighborhood:
Type:
Vacant Land / Lots
County:

School Information

Elementary School:
Middle School:
High School:
School District:

Description

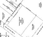
$50k Price Reduction! Motivated Seller! 1.41 SUBDIVIDABLE acres! Exceptional opportunity for developers, builders and investors on the cusp of Horse Country in Southern Pines. The property offers approximately 220' of road frontage, 280' deep. The property is zoned RS-1 by Southern Pines, and the town has already confirmed it could be subdivided under the minor subdivision category. There is a 30' access easement on the left side for the the property to the rear. Attorney has confirmed the easement can also be used for this property as is it is on their property. The well to the existing home was installed in 2021. Per Southern Pines utilities overlay, no public water or sewer is currently available. 1.41 acres - level, rectangular, partially cleared with 1930 Folk Victorian Cottage placed on the right side of the property. The cottage could be renovated or demolished depending upon buyers evaluation. This property is subject to a right of first refusal on any accepted offer. The holders of the right of first refusal have 30 days to respond once notice is given. The dwelling and property will be sold in 'as-is' condition. Cash offers are preferred. 24-48 hours notice is needed for showing requests. This listing is also entered as residential.

Monthly Payment Calculator



Mid Carolina MLS logo© 2025 NCRMLS. All rights reserved. North Carolina Regional Multiple Listing Service, (NCRMLS), provides content displayed here (“provided content”) on an “as is” basis and makes no representations or warranties regarding the provided content, including, but not limited to those of non-infringement, timeliness, accuracy, or completeness. Individuals and companies using information presented are responsible for verification and validation of information they utilize and present to their customers and clients. NCRMLS will not be liable for any damage or loss resulting from use of the provided content or the products available through Portals, IDX, VOW, and/or Syndication. Recipients of this information shall not resell, redistribute, reproduce, modify, or otherwise copy any portion thereof without the expressed written consent of NCRMLS. Data last updated 2025-12-14T11:33:00.327.
www.landandluxury.com/homes/170910478
Print Image

1515 N Ridge Street Southern Pines, NC 28387

  • Price: $350,000
  • Status: Active Under Contract
  • On Site: 18 Days
  • Updated: 55 min ago
  • ID#: 100543007
0
Beds
0
Baths
0
½ Baths
1.42
Acres
Neighborhood:
Not In Subdivision
County:
Moore
Area:
Southern Pines
Elementary School:
Mcdeeds Creek Elementary
Middle School:
Crain's Creek Middle
High School:
Pinecrest High
School District:
Moore County Schools
Property Description
$50k Price Reduction! Motivated Seller! 1.41 SUBDIVIDABLE acres! Exceptional opportunity for developers, builders and investors on the cusp of Horse Country in Southern Pines. The property offers approximately 220' of road frontage, 280' deep. The property is zoned RS-1 by Southern Pines, and the town has already confirmed it could be subdivided under the minor subdivision category. There is a 30' access easement on the left side for the the property to the rear. Attorney has confirmed the easement can also be used for this property as is it is on their property. The well to the existing home was installed in 2021. Per Southern Pines utilities overlay, no public water or sewer is currently available. 1.41 acres - level, rectangular, partially cleared with 1930 Folk Victorian Cottage placed on the right side of the property. The cottage could be renovated or demolished depending upon buyers evaluation. This property is subject to a right of first refusal on any accepted offer. The holders of the right of first refusal have 30 days to respond once notice is given. The dwelling and property will be sold in 'as-is' condition. Cash offers are preferred. 24-48 hours notice is needed for showing requests. This listing is also entered as residential.
Exterior Features

Fencing PartialWood

Property Features

Association YN No Buildings On Property Main HouseShed(s)See Remarks Cobra Zone YN No Current Use Single FamilyResidential Deed Restriction YN No Electric Provider Duke Energy Fuel Tank Owned Or Leased Leased Horse YN No In City Limits YN Yes Internet Service Providers Spectrum Island Or Mainland Mainland Listing Terms Will Not DivideCash Lot Features Interior LotLevel Lot Number 47 Other Structures See RemarksShed(s)Residence Property Sub Type Residential Land Road Frontage Type MaintainedCity StreetState RoadPaved Road Surface Type Paved Secondary Subdivision N/A Sewer Provider Septic TankSeptic Permit On File Special Listing Conditions Standard Tax Amount 1442.9 Tax Year 2025 Topography Cleared/PartialLevelSee Remarks Total City Real Estate Property Tax 159.67 Total Road Frontage 220 Trash Provider Private Utilities Cable AvailableOther Water Source Well Waterfront Features None Waterfront YN No Zoning RS-1



Mid Carolina MLS logo Listing information © 2025 NCRMLS
Listing courtesy of Clio Carroll of Keller Williams Pinehurst: .


Mid Carolina MLS logo© 2025 NCRMLS. All rights reserved. North Carolina Regional Multiple Listing Service, (NCRMLS), provides content displayed here (“provided content”) on an “as is” basis and makes no representations or warranties regarding the provided content, including, but not limited to those of non-infringement, timeliness, accuracy, or completeness. Individuals and companies using information presented are responsible for verification and validation of information they utilize and present to their customers and clients. NCRMLS will not be liable for any damage or loss resulting from use of the provided content or the products available through Portals, IDX, VOW, and/or Syndication. Recipients of this information shall not resell, redistribute, reproduce, modify, or otherwise copy any portion thereof without the expressed written consent of NCRMLS. Data last updated 2025-12-14T11:33:00.327.
 
https://bt-photos.global.ssl.fastly.net/ncreg/1280_boomver_1_6b9fec9994df91f320623b892d676857-2.jpg https://bt-photos.global.ssl.fastly.net/ncreg/1280_boomver_1_6b9fec9994df91f320623b892d676857-2.jpg https://bt-photos.global.ssl.fastly.net/ncreg/1280_boomver_1_6b9fec9994df91f320623b892d676857-2.jpg
Logo
Mossy Oak Properties Land and Luxury
114 Morlake Drive Suite 103
Mooresville NC, 28117